将玻尿酸以填充物的方式注射到凹陷或是皱纹部位,达到丰满的目的。档案 类型:注射 疼痛感:维持时间:6-12个
二、做玻尿酸除皱费用大概需要多少 做玻尿酸除皱手术的费用如下,私立医院:1000-1500元/次;公立医院:800
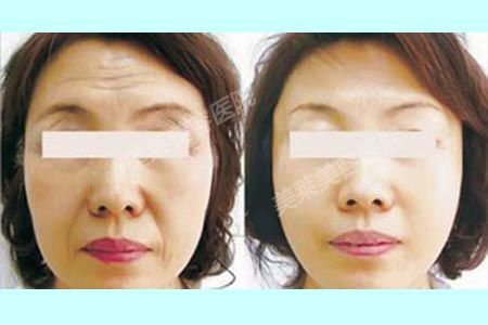
石家庄巍名仕玻尿酸除皱告诉您用玻尿酸解决各种动态静态皱纹,深入了解它的除皱方法,价格,各种注意事项,效果
3关于费用问题各个医院规定不一样您好,除皱的方式有很多,比如激光进行的除皱,注射玻尿酸,爱贝芙进行
下面我就来为大家介绍玻尿酸除皱费用多少。玻尿酸除皱费用多少 第一:玻尿酸除皱是现在应用得最多的除皱
二、做玻尿酸除皱费用汇总 术后的费用主要是术后的恢复护理费用 术后不需要特殊护理,保持注射部位清洁即可
下个月就是妈妈的生日,我想带妈妈去做玻尿酸除皱手术,但基于存款不多,所以想了解一下费用是多少?
二、做玻尿酸除皱费用汇总 三、做玻尿酸除皱术前费用是多少 术前的手术费用主要是手术前基本的身体检查费用

botox和玻尿酸注射除皱怎么选?
454x304 - 92KB - PNG

玻尿酸注射除皱效果好吗?
558x350 - 227KB - PNG

重庆玻尿酸除皱三大优势
404x304 - 178KB - PNG

玻尿酸除皱有风险吗?
557x292 - 197KB - PNG

影响玻尿酸除皱价格的因素有哪些
318x359 - 134KB - PNG

玻尿酸除皱有风险吗?
558x456 - 248KB - PNG

玻尿酸除皱的优势是什么
280x287 - 36KB - JPEG

打玻尿酸除皱前需要注意什么
342x227 - 74KB - JPEG

botox和玻尿酸注射除皱怎么选?
454x304 - 92KB - PNG

线雕与玻尿酸祛皱的适应症哪些不同
520x341 - 145KB - PNG

玻尿酸除皱效果好不好?
450x300 - 71KB - JPEG

注射玻尿酸能除皱吗?
558x329 - 174KB - PNG

除皱,玻尿酸还是肉毒素?
452x343 - 41KB - PNG

玻尿酸填充祛皱 除皱效果立竿见影
450x300 - 19KB - JPEG

除皱,玻尿酸还是肉毒素?
278x321 - 98KB - PNG