
市民家中惊现有毒隐翅虫注意消毒预防
500x367 - 63KB - JPEG

市民家中惊现有毒隐翅虫注意消毒预防
350x589 - 44KB - JPEG

网传夺命隐翅虫 有毒但无需恐慌(图)
400x339 - 49KB - JPEG

网传夺命隐翅虫 有毒但无需恐慌(图)
400x339 - 144KB - JPEG

网传隐翅虫毒液能致人死亡 专家:引发皮炎但不
543x375 - 22KB - JPEG

CCTV.com
355x275 - 38KB - JPEG

网传隐翅虫含剧毒接触可致命不宜用手直接拍打
392x300 - 22KB - JPEG

2017年度中国古生物学十大进展在南京发布
540x340 - 44KB - JPEG

毒隐翅虫大面积袭击居民 重庆市多人受伤(组图
300x200 - 22KB - JPEG

4000万年前突眼隐翅虫化石被发现 身怀水上漂
300x204 - 17KB - JPEG

中国科研团队发现世界最早铠甲等昆虫化石(图
400x263 - 22KB - JPEG

上海动物园发现新物种!它被取了个带有上海记
485x364 - 39KB - JPEG

隐翅虫凶猛毒液可致眼瞎
500x400 - 47KB - JPEG

琼州学院隐翅虫来袭学生拍打被灼伤
500x354 - 28KB - JPEG

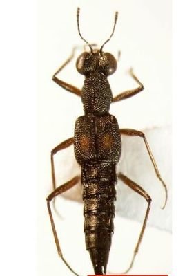
异突眼隐翅虫
268x399 - 14KB - JPEG
2.关灯睡觉,睡觉前检查床上是否有隐翅虫。3.尽量采取各种驱蚊措施,如点灭蚊器、擦花露水等。4.若
今晚床上发现一只隐翅.本来床上玩电脑的,余光瞟到一只虫仔细一看是只隐翅虫赶紧用纸包住了它,想拍个照。
这是隐翅虫吗?我家里床上发现了这虫子,用纸巾包住压死了.但是很怕家里还有很多.我想问的是这种怎么预防?
虫落到床上,人不注意,一翻身压死了虫子,毒液沾到皮肤上,起水疱了。“从我接诊的国内有毒隐翅虫仅3种
这是灯诱进来的,隐翅甲,尽量不要用手碾死,因为有些隐翅甲是有毒的毒隐翅虫,不碾死啥事都没有,碾死之后
图中的是:黑巨隐翅虫 隐翅虫(影子虫) 有部分隐翅虫,虽然体外没有毒腺,不会蜇人,但是体内有毒液(强
隐翅虫爬过的被子和被压在床上之后的位置触碰之后会引起皮肤病吗?只要隐翅虫排出的体液污染隐翅虫怎么治?
毒隐翅虫属于鞘翅目(Coleoptera)、隐翅虫科(Staphylinidae)、毒隐翅虫属(Paederus),已知种类超过250
前几年夏季,广西、湖南、湖北等南方各省媒体均有毒隐翅虫伤人事件报道,如何预防毒隐翅虫的伤害?